Günlük PDF Gazeteye Abone Ol
Gazete İndir
Hesabım
Resmi İlanlar
Sağlık
Yerelden Haberler
Bilim Ve Teknoloji
Eğitim
İnsan Hakları
Kadın
İ.Bülent Çelik çiziyor
Magazin
Medya
Anıl Özgüç'ün Muhalif Takvimi -
Perspektif
Gündem
Ekonomi
Dış Haber
Spor
Siyaset
Kültür - Sanat
Yazarlar
Çevre
Otomotiv
Yaşam
Sağlık
Anasayfa
Gündem
Gündem
Mansur Yavaş: "Cumhuriyetimizin ışığını tüm mahallelerimize ve hanelerimize ulaştırmayı taahhüt ediyoruz"
CHP'li Başkan'a kimin saldırı tehdidinde bulunduğu tespit edildi
Bakırköy 29 Ekim coşkusunu Türk halk müziği konseriyle kutladı
Başarır: "Cumhuriyet Halk Partisi üyelerini casuslukla suçlayanların alnını karışlarım"
Bozay, Zalewski ile kritik görüşmede bir araya geldi
Hacettepe Üniversitesi'ndeki palalı saldırıya sert tepki: 'Neden müdahale edilmedi?'
Taksim'de Cumhuriyet Coşkusu: Özgür Çelik, Millet Ayaktadır Dedi
Vahap Seçer: Mersin’in vizyonunu geliştireceğiz
Bursalı: Vatan Partisi, hahamlar konferansını durdurdu
Bahçeli konuştu: Ülkemize kalıcı bahar havası gelecek
Kuşadası'nda Cumhuriyet Bayramı coşkusu başladı
Manavgat Belediyesi soruşturması: 24 kişi daha gözaltına alındı
Bursa'da Cumhuriyet coşkusu Edis konseri ile kutlanacak
Sinan Tekin: 'Sanayi çökmüş, su bırakmıyor, adalet yok oluyor'
Başkan Günel'den KUPAD'a iş birliği daveti
Ali Babacan’dan “AKP’ye dönüş” iddialarına yanıt
Cumhuriyet Bayramı coşkusu İzmir’de başladı
Aydınfest'e katılım artıyor
Emin Çapa, Tepebaşı'ndaki etkinlikte gündemi değerlendirdi
Pendik’te Menzil Cemaati'ne ait olduğu iddia edilen hastanede yangın
Aksaray'da CHP bayraklarla esnafı ziyaret etti
Cumhuriyet Bayramı coşkusu Eskişehir'de başladı
Burhaniye'de palamutlar fidan olma yolunda
Ankara'da 29 Ekim kutlamaları için yollar trafiğe kapatılacak
Almanya Başbakanı Merz, Türkiye’ye geliyor
Malatya'da sağlık çalışanlarına yönelik şiddet kınandı
Zeliha Aksaz Şahbaz'dan bankalara sert tepki
Üniversiteye kaçak şekilde pala ile girip öğrencilere saldırdılar: Saldırıyı Ülkü Ocakları sahiplendi!
İznik Göl Bazilikası ziyarete açıldı: Bozbey, toprakların gücüne inandıklarını vurguladı
Cumhuriyet coşkusu Sinop'ta dalışta yaşandı
Mersin Büyükşehir Belediye Başkanı Seçer, öğrencilerle buluştu
KKTC’de 20 binden öğrenci kayıp iddiası: Pasaportlarına el koyup, fuhuşa zorlanıyorlar
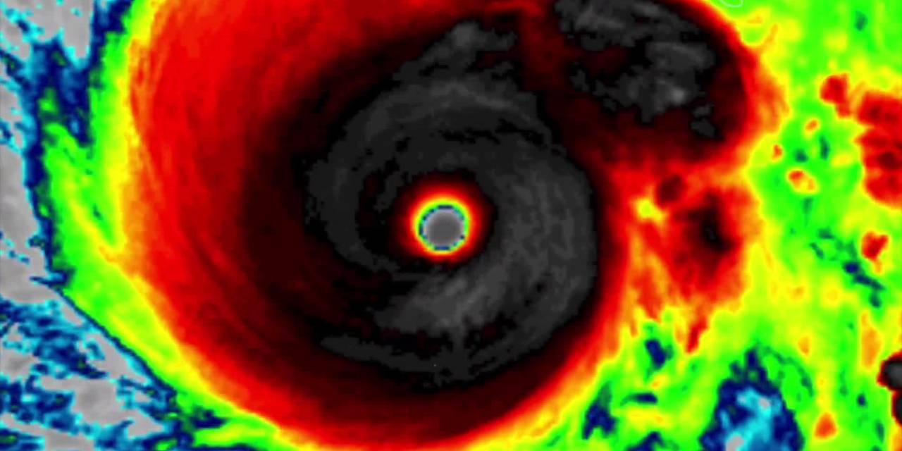
Jamaika'da Melissa Kasırgası alarmı: Tarihin en güçlü fırtınasına hazırlanıyorlar
Güler, Katar Savunma Bakanı Al Sani ile buluştu
BTP’nin 'Geleceği Savunmak' Programı Denizli’de Devam Etti
Özgür Özel: "Mücadelemizi bir adım ileri taşımak zorundayız"
Dutlulu: Güçlü Türkiye Cumhuriyeti İçin Birlikte Nice Yüzyıllara
Aras: Cumhuriyet’in ışığı geleceğimizi aydınlatıyor
Balıkesir Sındırgı depremi sonrası uyarı: 7 büyüklüğünde deprem tetiklenebilir
ABD ve Japonya'dan nadir toprak mineralleri için iş birliği anlaşması
Abdurrahman Tutdere'den 'iddianame' çıkışı: Yalanların hepsini tek tek ispat edip çöp sepetine atacağız
Türkiye İş Bankası Genel Müdürü Hakan Aran: Düşük enerjiyle yapay zeka çipi geliştiren bir şirkete ortak olduk
İçişleri Bakanı Yerlikaya: “Sındırgı’da can kaybı yok, 26 kişi hafif yaralı”
Küllüoba ekmeği projesiyle ödül alan başkanlar
Erkek: Her adım Cumhuriyet’in gücünü sürdürecek
2025 Cumhuriyet Kupası'nın kazananı belli oldu
Türkiye sağlık turizminde dünya genelinde ilk 10'da
Kılıç'tan hakemlerin bahis oynadığı iddialarına araştırma önergesi: "Sorumlusu AKP iktidarıdır"
52
53
54
55
56
57
58
Haberler
Son Haberler
Manşetler
Gündem
Ekonomi
Dış Haber
Spor
Siyaset
Kültür - Sanat
Yazarlar
Çevre
Otomotiv
Yaşam
Sağlık
Yerelden Haberler
Eğitim
İnsan Hakları
Kadın
İ.Bülent Çelik çiziyor
Magazin
Medya
Anıl Özgüç'ün Muhalif Takvimi -
Perspektif
Seçim 2023
Son Dakika
Video Galeri
Video Haberler
Yerel Seçim 2024
Gözden Kaçmasın
Genel
Diğer İçerikler
Foto Galeri
Web Tv
Yazarlar
Gazete Manşetleri
Kurumsal
Künye
İletişim
Gizlilik İlkeleri
Kullanım Şartları
Geliştiriciler İçin